アオスジアゲハ

チョウ目 アゲハチョウ科 アゲハチョウ亜科
Graphium sarpedon
黒地に青白い筋が一本入ったスポーティなアゲハチョウ。
飛翔力が高く、早いスピードで、樹木や花のまわりをめまぐるしく飛び回る。オスは、湿った地面で吸水することも多い。幼虫は、公園や校庭によく植えられているクスノキを食べるので、大都会の真ん中でも普通に見ることができる。
南方系のチョウで、西南日本では極めて普通に見られるが、本州中部以北ではあまり多くなく、秋田県あたりが北限となる。
アオスジアゲハ
吸水 : 神奈川県横浜市 2010.9.15
アオスジアゲハ
吸蜜 : 大阪府四條畷市下田原 2006.5.24 
アオスジアゲハ
吸蜜 : 大阪府東大阪市枚岡 2004.6.13 
河原に集まって吸水しているところ。普段はすばしこく飛び回っていてなかなか人を寄せつけないこのチョウも、吸水しているときはけっこう簡単に近づける。
アオスジアゲハ
吸水 : 奈良県十津川村 1998.7. 
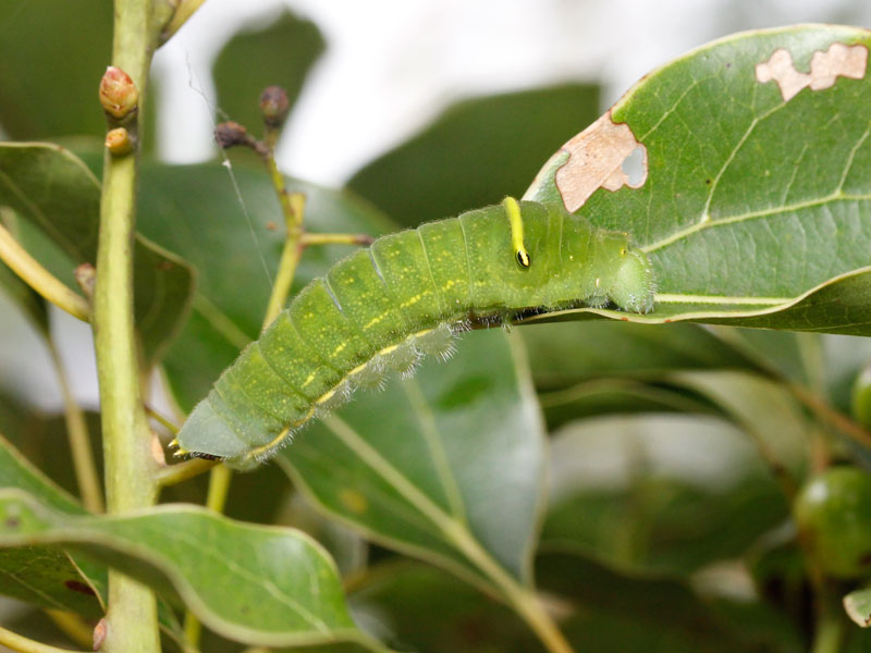
アオスジアゲハの幼虫。緑色で、胸部に黄色い細帯があり、その両端に小さな眼状紋をもつ。クスノキ、タブノキ、ニッケイなどの葉を食べて育つ。食樹の葉表に糸で座をつくって静止していることが多く、保護色になって見つけにくい。
幼虫 : 奈良県奈良市 2014.10.20 
アオスジアゲハの幼虫
幼虫 : 奈良県奈良市 2014.10.20 
幼虫 : 奈良県奈良市 2014.10.20 
幼虫 : 奈良県奈良市 2014.10.20 
幼虫 : 奈良県奈良市 2014.10.20