昆虫エクスプローラ
>
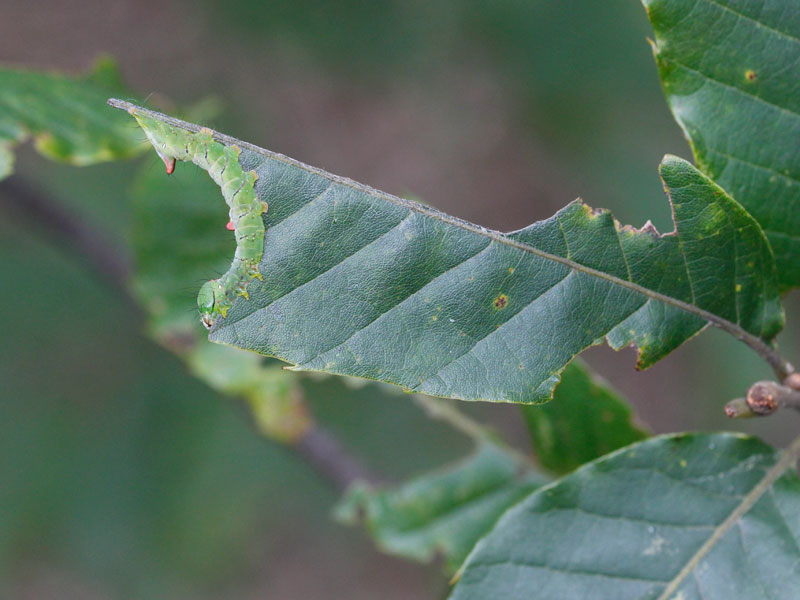
自ら葉を食べ進む食痕 ツマジロシャチホコの幼虫
2014.10.17 大阪府東大阪市
どんどん食べ進んでも、ずっと擬態が継続するのがすごいと思います。